This is a photo of the following tree:
#169
Seedling of:
[unknown]
[unknown]
Germinated:
2020-08-15
2020-08-15
Timestamp: 2024-05-02 01:02:10
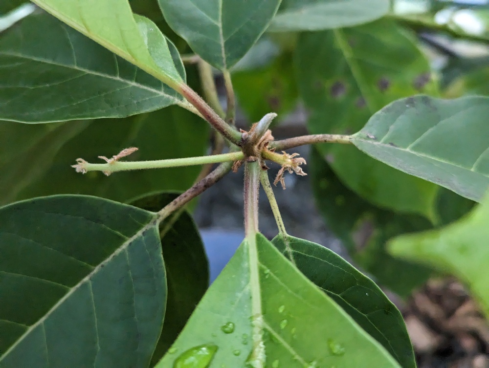
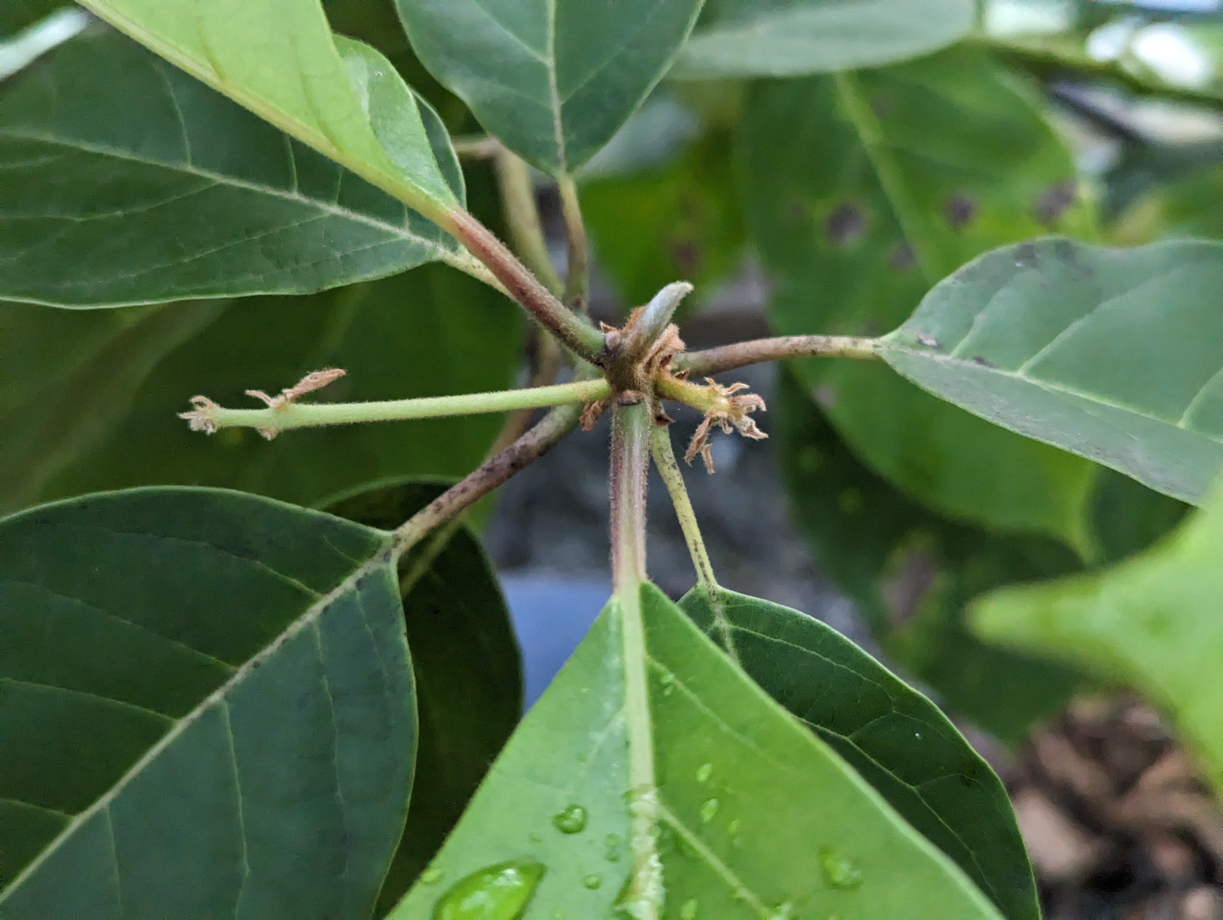
Reason for update: Zero fruit
Update text:
There were only about eight total flowers, so it's no surprise that none of them set fruit.
There were only about eight total flowers, so it's no surprise that none of them set fruit.